Comment le blé est-il transformé en pain ? Présentation de la céréale, de sa transformation en farine et du processus de fabrication du pain.
Introduction générale
Le blé est l’espèce avec laquelle l’homme a commencé à manipuler la nature et gérer le milieu. Auparavant, dans la lointaine préhistoire, il se contentait de prélever ce qui était disponible et se comportait comme tout animal prédateur. Avec la mise en culture du blé et la sélection des variétés les mieux exploitables, l’homme a commencé à gérer la production de son environnement : ce fut la « Révolution néolithique ». Cette histoire s’est déroulée il y a de cela 100 000 à 5 000 ans.
L’homme a ensuite appris à extraire le produit qui lui convenait – la farine – et à le transformer, en particulier en pain. Pour la levée du pain, la fermentation a été utilisée par ensemencement d’un organisme très subtil, la levure (parfois associée à des bactéries quand on a recours au levain). Autrement dit, par ce procédé, a été inventée, dans des temps immémoriaux, une méthode qu’on appelle maintenant « biotechnologie ». Elle est l’une des plus utilisées, très développée en laboratoire à l’échelle moléculaire du génie génétique et dans les industries de pointe, en cette fin de millénaire, avec des enjeux et des perspectives considérables.
Ce dossier rassemble quelques informations scientifiques permettant d’expliquer l’importance considérable du blé dans l’histoire de l’homme. Il constitue une version raccourcie et modifiée, centrée sur les aspects biologiques, d’un dossier plus important du site Biologie et multimédia comportant de nombreux développements économiques, historiques, culturels, symboliques et artistiques.
Sagesse
C’est la fête du blé, c’est la fête du pain
Aux chers lieux d’autrefois revus après ces choses !
Tout bruit, la nature et l’homme, dans un bain
De lumière si blanc que les ombres sont roses.L’or des pailles s’effondre au vol siffleur des faux
Dont l’éclair plonge et va luire, et se réverbère.
La plaine, tout au loin couverte de travaux,
Change de face à chaque instant, gaie et sévère.Tout halète, tout n’est qu’effort et mouvement
Sous le soleil, tranquille auteur des moissons mûres,
Et qui travaille encore, imperturbablement,
À gonfler, à sucrer – là-bas ! – les grappes sures.Travaille, vieux soleil, pour le pain et le vin,
Nourris l’homme du lait de la terre, et lui donne
L’honnête verre où rit un peu d’oubli divin…
Moissonneurs, – vendangeurs là-bas ! – votre heure est bonne !Car sur la fleur des pains et sur la fleur des vins,
Fruit de la force humaine en tous lieux répartie,
Dieu moissonne, et vendange, et dispose à ses fins
La Chair et le Sang pour le calice et l’hostie !
Le blé
Introduction
Le blé est à l’origine même de l’agriculture. Il reste, après des millénaires, la première plante cultivée au monde. Les surfaces cultivées à travers les continents se mesurent en millions d’hectares et les récoltes se chiffrent en millions de tonnes. Il est loin au premier rang dans les échanges agroalimentaires internationaux.
Dans cette production et ces transactions, la France tient un rôle important. Elle est le premier producteur de blé européen et elle exporte 50 % de sa récolte dans près d’une centaine de pays.
Les rendements atteignent des chiffres records, plus de 90 quintaux à l’hectare en Beauce pour les bons millésimes. Toutes céréales confondues, la moisson dépasse 60 millions de tonnes de grains dont plus de 33 millions pour le blé. La meunerie française est la première à l’exportation. On cite les qualités nutritives incomparables de cette plante, rappelons que les dérivés céréaliers entrent aussi dans la composition de nombreux produits non alimentaires : médicaments, papiers, textiles, colles, lessives, peintures, plastiques, biocarburants (les « carburants verts »). Dans l’hexagone, l’ensemble représente 30 milliards d’euros de chiffre d’affaires et 150 000 emplois.
Pourquoi ce rôle exceptionnel ? Quelles sont donc les propriétés uniques de cette céréale qui lui ont assuré pérennité et prééminence dans l’activité humaine ? Il faut les chercher d’abord dans son mode de culture et dans la composition unique de la farine qu’elle fournit.
La plante
Le blé appartient à la famille des Graminées, c’est-à-dire à un groupe de végétaux dont le nom, étymologiquement, signifie « producteur de grains ». À cette définition assez vague, les botanistes préfèrent le terme plus précis de Poacées, par référence à un genre très commun dans la nature, le Poa. Les tiges ont un port caractéristique : ce sont des chaumes, cylindriques, souvent creux par résorption de la moelle centrale. Cette famille végétale compte environ 2500 espèces répandues pratiquement sur toute la surface des continents.
Les chaumes sont constitués d’inter-nœuds creux et de nœuds d’où émerge, au niveau de chacun, une longue feuille. Celle-ci engaine la tige puis s’allonge en un limbe étroit à nervures parallèles. Parmi les autres caractères de cet appareil végétatif, on peut mentionner la concentration dans l’épiderme de multiples amas de silice microscopiques mais très durs (comme du verre). Ils rendent les organes tranchants : on peut se couper facilement en les manipulant sans précaution.
Les épis de deux variétés de blé, dont il existe une multitude.
L’appareil reproducteur des graminées est aussi spécifique. Il est constitué par des fleurs nombreuses, petites et peu visibles qui ont, au lieu de pétales, des enveloppes membranaires non colorées. Elles sont groupées en épis situés à l’extrémité des chaumes. Après fécondation, l’ovaire de ces fleurs se transforme en une semence ou « grain » qui a la particularité d’être à la fois un fruit et une graine. Ils se sont soudés l’un à l’autre au cours du développement. On appelle cette semence particulière un caryopse .
Le grain de blé (ou caryopse de blé) est entouré de deux enveloppes jointives, le péricarpe (paroi de l’ovaire) et le tégument de la graine (paroi de l’ovule). Il contient un embryon et un tissu nourricier, l’albumen.
Un épi mûr de graminée est donc un axe qui porte une série d’enveloppes desséchées – qui fournira la balle après battage – au centre desquelles se trouvent les grains. Chaque grain comporte les enveloppes coriaces du fruit et de la graine qui entourent un petit embryon ou germe en vie ralentie. Ce germe est repoussé sur le côté par un volumineux tissu nourricier formant l’amande, chargée de réserves. Ce sont ces substances nutritives qui, dans les conditions naturelles, sont utilisées pour le développement de la jeune plantule lors de la germination et de la reprise de la végétation. Elles sont détournées de leur fonction naturelle et exploitées en céréaliculture pour obtenir de la farine.
Germination du grain de blé : un organe transitoire, le coléoptile, se développe en premier, il protège la gemmule. La première feuille générée par la gemmule croît et perce le coléoptile qui dégénérera ensuite. Au niveau radiculaire, la jeune radicule perce le coléorhize, d’autres racines primaires se développent (5 au total).
La forte capacité de prolifération de nombreuses graminées et en particulier le rendement élevé des espèces cultivées, comme le blé, proviennent du fait qu’elles sont capables d’associer de façon très efficace la multiplication végétative et la reproduction sexuée. La multiplication végétative résulte de la ramification des bases de tiges au contact du sol. Celle-ci produit un faisceau de chaumes se terminant chacun en un épi porteur de plusieurs dizaines de graines. Dans les conditions favorables, une seule semence peut produire une centaine de nouveaux grains…
Il existe des graminées vivaces et des graminées annuelles. Les espèces vivaces produisent des tiges rampantes qui, périodiquement, sont à l’origine de pousses verticales qui donnent les épis. Elles grandissent en touffes enchevêtrées dont l’ensemble constitue un tapis herbacé souvent très dense, ou gazon. Elles forment des prairies naturelles. Certaines graminées vivaces sont de grande taille, comme les bambous utilisés dans certains pays asiatiques pour la construction et l’ameublement, mais la principale vivace industrielle est la canne à sucre dont les chaumes atteignent 5 à 6 mètres de haut. Elles sont cultivées non pas pour les réserves des semences mais pour le saccharose qui se concentre dans la moelle des tiges.
L’importance économique des graminées vient surtout des céréales. Ce sont des espèces annuelles aux grains comestibles. Leur nombre est assez réduit – une petite dizaine – mais leur importance est considérable puisqu’elles comportent le blé, le riz, l’orge, l’avoine, le maïs, le mil, le sorgho, le millet… Mai seul le blé donne un produit panifiable grâce à la nature et aux propriétés complémentaires de deux de ses réserves.
Les origines
C’est par le blé qu’a commencé la « culture », le mot étant pris dans toutes ses acceptations : agricole et sociale, lors de la transition entre la période paléolithique et la période néolithique. L’importance des transformations pratiques et mentales nécessaires a été telle qu’on qualifie ce passage de « révolution néolithique ». Celle-ci s’est produite dans ce qu’on appelle le « Noyau Levantin », dans la région qui va de la vallée du Jourdain à l’Euphrate et qui forme un large arc de cercle ou « Croissant Fertile » (voir carte ci-dessous). À l’ouest, vers l’Europe, il n’y avait pas d’espèces de blé ou d’orge spontanées. Ces céréales ont donc nécessairement été importées, toutes déjà domestiquées.
Le blé a d’abord été récolté à l’état sauvage puis cultivé depuis le néolithique dans le « croissant fertile » (actuels Liban, Syrie et Sud de la Turquie) où subsistent à ce jour des blés sauvages.
Les espèces archaïques de blé qu’on trouve encore dans ces régions sont bien différentes du froment cultivé actuellement :
- Les blés sauvages se reproduisent spontanément alors que le blé domestique ne peut le faire sans l’aide de l’homme. Le rachis (ou axe) est fragile et se fragmente en dispersant les semences, ce qui constitue un inconvénient majeur en pratique agricole : les épis mûrs s’éparpillent et sont impossibles à moissonner. Les longues barbes qui les entourent se déforment en fonction de l’humidité du sol et finissent par enterrer spontanément les grains, qui ensuite peuvent germer dans le sol.
Avant d’être cultivateur, l’homme a été « cueilleur de céréales ». Les grains furent donc vraisemblablement cueillis grain par grain. Les épis les plus solides ont du être favorisés par ce mode de récolte et peu à peu naturellement sélectionnés. On obtint progressivement des variétés à « rachis solide » résistant mieux au moissonnage. - Les grains sont « vêtus » c’est-à-dire entourés d’enveloppes membraneuses qui ne peuvent être détachées par vannage et battage (inconvénient pour la récolte).
- Les grains sont petits, pauvres en réserves et surtout dépourvus de gluten : la farine n’était donc pas panifiable.
Pourquoi une telle évolution ? Chez le blé, la fécondation a lieu dans la fleur avant même qu’elle ne s’ouvre. Cette autofécondation (rare, même chez les végétaux hermaphrodites) évite le brassage génétique et favorise donc le maintien des mutations dans le patrimoine des descendants, ce qui augmente l’efficacité de sélection par l’homme. Par ailleurs, une partie du patrimoine génétique d’au moins deux autres espèces de graminées sauvages encore mal identifiées s’est métissée de façon fortuite avec celui des blés. Ce métissage a été maintenu grâce à l’autofécondation, donnant naissance à des aptitudes nouvelles, dont la capacité de synthèse des éléments du gluten acquise par le froment, qui rend la farine panifiable.
Initialement, les grains étaient consommés crus ou grillés (grillage ou torréfaction). Griller le grain améliore sa conservation en augmentant la déshydratation. Cela favorise le décorticage des espèces « vêtues ». Cela permet aussi de sauver les grains gâtés ou moisis car cueillis avant maturation complète et encore humides. Enfin, cela donne une saveur plus agréable en produisant, par caramélisation, un goût sucré plus doux. Mais la valeur nutritive reste faible car, à l’état natif, les grains et les molécules d’amidon sont très compacts, donc peu accessibles et peu attaquables par nos enzymes digestives.
L’invention de la poterie (8000 à 7000 ans av. J.C) a permis de cuire les grains proprement dit. Les céréales ainsi traitées sont plus faciles à digérer car l’amidon des grains, gélifié par la température et moins dense, devient facilement attaquable par les enzymes salivaires (amylases) et intestinales. Cette action libère des sucres qui sont absorbables par le tube digestif. Il n’est pas encore question de pain, mais de bouillies et de galettes non levées.
Semailles et moissons
Peinture égyptienne. La récolte des céréales mûres fut à l’origine une simple cueillette. Puis la moisson se fit à la main à l’aide d’un couteau de silex, d’une faucille ou d’une faux, et ensuite mécaniquement par une moissonneuse, puis une moissonneuse-batteuse.
Au champ, le travail commence à l’automne, car les variétés les plus utilisées sont des « blés d’hiver » qui supportent bien le froid. Cette aptitude à résister au gel et à la neige explique que le blé pousse bien sous des climats variés et contrastés. Les basses températures sont mêmes nécessaires au bon développement de la plante : c’est la vernalisation ou printanisation. Pendant les mois de repos les germinations, sous l’action du froid, subissent une série de transformations internes qui les rend aptes à monter en fleur au printemps suivant. Sans cette action, le blé d’hiver donnerait très peu ou pas d’épis.
La farine
Du grain de blé à la farine
Après le criblage, les grains passent entre les lourdes meules du moulin. Une pièce de pierre est fixe et l’autre est mobile, permettant d’écraser le grain et de libérer une mouture lorsque ses enveloppes sont ouvertes.
Le blé moissonné doit être traité pour libérer la farine. Toutes ces étapes sont purement mécaniques, sans aucun traitement chimique, de sorte que le produit obtenu est celui même qui était dans l’amande du grain. Il est simplement fragmenté, et non dénaturé.
Il faut d’abord séparer les grains de la paille et des fines enveloppes qui l’entourent dans l’épi. Ces grains sont battus et vannés. Le van était un grand panier d’osier lancé d’un mouvement ample de façon à faire voler au vent les constituants les plus légers.
L’entraînement de la meule mobile était obtenu soit par traction animale (à gauche), soit par le mouvement d’une roue à aubes dans les moulins à eau. Ceux-ci développaient parfois une forte puissance quand ils étaient mus par les fleuves, près des villes. Dans les campagnes on utilisait les moulins à vent (à droite). Il fut un temps où plus de trois mille moulins tournaient en France.
Les meules de pierre sont maintenant remplacées par des cylindres compresseurs métalliques. Le plus grand moulin d’Europe se trouve à Corbeil et transforme 1800 tonnes de blé chaque jour.
Quelle que soit l’échelle des installations, il faut, après broyage, bluter, c’est-à-dire tamiser pour séparer la farine blanche, fine et lisse, qui vient du cœur du grain, de ce qu’on appelle les issues, principalement constituées par les enveloppes formant le son. Il faut aussi mettre de côté les fragments du germe qui contiennent des corps gras qui risqueraient de s’oxyder à l’air et de donner un goût rance, avec le temps.
Finalement, en moyenne, 75 % du grain, finement pulvérisé et homogénéisé, fournit une farine blanche panifiable. Une extraction plus grossière en exploite davantage mais la farine obtenue est associée à des débris de son : c’est la « farine complète ». Sa couleur bise provient des pigments qui sont localisés dans l’enveloppe. Inversement une extraction plus ménagée donne un produit très pur, la « fleur de farine ». De tout temps la farine blanche a été préférée, symbole de pureté et de raffinement.
Les farines
Toutes les espèces de céréales produisent une amande remplie de multiples grains d’amidon qui peuvent être séparés par broyage et fournissent une farine nutritive.
Farine de blé observée au microscope optique. On distingue les grains d’amidon, et, à gauche, quelques restes d’enveloppes du grain de blé.
Aisément digéré et absorbé par l’intestin, l’amidon est une excellente matière alimentaire. Chaque grain d’amidon est formé de millions de molécules de glucose, molécule la plus facilement métabolisée par l’organisme. De nombreuses plantes fournissent de l’amidon ; outre toutes les céréales, citons les espèces à tubercule comme la pomme de terre ou le manioc. Toutes sont des sources alimentaires appréciées, mais seule la farine de blé est panifiable : pourquoi ?
Dans les réserves du grain de blé, on trouve, en plus faible quantité que l’amidon (10 à15 %), des matières azotées, des protéines, qui ont la propriété de pouvoir être associées, « agglutinées », par malaxage, en un réseau élastique et adhésif : le gluten (de glu : collant). Ce réseau donne de la « force » à la pâte et permet aux produits de la fermentation des levures, dont on ensemence la préparation, de jouer leur rôle. Les levures se nourrissent des sucres de l’amidon en dégageant du gaz carbonique, comme nous le verrons plus loin. Le gaz est piégé sous forme de multiples bulles dans le réseau de gluten ce qui provoque la « poussée » ou « levée » de la pâte.
Notons que le blé noir ou sarrasin n’est pas du blé, ni une céréale, ni même une graminée (c’est une Polygonacée). Il en résulte que la farine de blé noir (ou de sarrasin) n’est pas panifiable.
Le pain
Introduction
Pour obtenir du pain, il faut, au départ, trois composants dont l’action est complémentaire et indissociable :
- L’amidon qui fournit les sucres.
- Le gluten qui forme le fin réseau élastique et assure la cohésion de l’ensemble.
- La levure qui produit, comme son nom l’indique, la levée et l’allègement de la pâte.
On ajoute du sel pour ses propriétés gustatives.
Seul le blé fournit à la fois amidon et gluten (il y en a un peu dans le seigle). Les précurseurs du gluten sont dispersés dans la farine et il faut tout un travail mécanique de malaxage pour les associer : c’est le rôle du pétrissage. Celui-ci n’a pas pour simple but de mélanger les ingrédients mais sert à réticuler le gluten pour donner du corps à la pâte.
Seuls certains blés fournissent un gluten qui présente cette propriété : ce sont les blés tendres. D’autres variétés comme les blés durs produisent aussi du gluten mais sous une forme qui n’est pas élastique. Ils fournissent des semoules et servent à confectionner, par exemple, les pâtes alimentaires. Leur gluten résistant maintient ensemble les grains d’amidon et évite qu’ils ne se dispersent à la cuisson mais, trop rigide, il ne permettrait pas une dilatation du réseau s’il y avait fermentation et ne pourrait assurer une bonne levée.
Ceci explique les propriétés uniques de la farine de blé tendre ou froment.
La pâte
La farine poudreuse va, grâce au travail du boulanger, d’abord être transformée en pâte élastique et bien liée. Pour mériter le nom de pain, sans autre qualificatif, le produit doit être fabriqué dans des conditions précises : le pain s’obtient après cuisson d’une pâte résultant du pétrissage d’un mélange d’une farine de blé tendre correspondant à un type officiellement défini (taux d’extraction, composition), d’eau, de sel et d’un agent de fermentation. Le boulanger peut, dans une faible mesure, jouer sur les proportions de ces ingrédients.
Le plus souvent, le mélange comprend :
- 100 parties de farine
- 60 parties d’eau
- 2 parties de sel
- 1 à 2 parties de levure
Le pétrissage associe et lie ces constituants. Il demande des périodes de fort malaxage et des temps de repos.
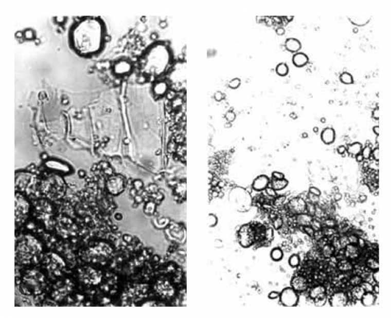
Le pétrissage assure la cohésion des protéines du blé (à gauche), le gluten forme un réseau élastique (à droite).
Coupe en microscopie optique d’une pâte à pain crue, permettant de visualiser le réseau de gluten.
On peut mettre en évidence les protéines du gluten dans la farine de blé par une expérience simple : on place un pâton sous un filet d’eau, l’amidon est lessivé peu à peu, ne laissant finalement qu’une boule élastique de gluten. L’élasticité est due à la structure en réseau des protéines spécifiques de la farine de blé qui, au cours du pétrissage, forment des ponts disulfures S-S intermoléculaires.
Une première étape de repos appelée « pointage » est un moment décisif pour le développement des propriétés élastiques de la pâte et du futur arôme du pain. La pâte se met à lever. Ses qualités se renforcent durant toute la durée du pointage : elle devient plus tenace et plus élastique.
Ensuite vient le temps de la mise en forme, c’est ce qu’on appelle la « tourne ».
Puis les « pâtons » façonnés doivent reposer une nouvelle fois : c’est « l’apprêt ».
La levée
Une étape caractéristique se produit alors dans la pâte, c’est le phénomène de « pousse » ou « levée ». Elle multiplie plusieurs fois le volume de la pâte et ne se produit que si le mélange a été ensemencé de ferments vivants : le levain ou les levures. La température doit être douce et régulière, et c’est pour cela que le fournil doit être situé dans un endroit protégé et abrité.
De nombreux facteurs peuvent perturber la levée : température, qualité du blé qui produit des pâtes faibles ou fortes ou présence d’additifs comme l’acide ascorbique (vitamine C) qui augmente la ténacité. Le sel lui-même limite la pousse en renforçant le réseau de gluten.
Les levures
Actuellement, le ferment vivant le plus utilisé en boulangerie est la levure de fabrication industrielle (conservée à 4 °C) qui doit être délayée dans l’eau tiède avant d’être incorporée à la pâte en début de pétrissage, à la dose moyenne de 2 % du poids de la farine.
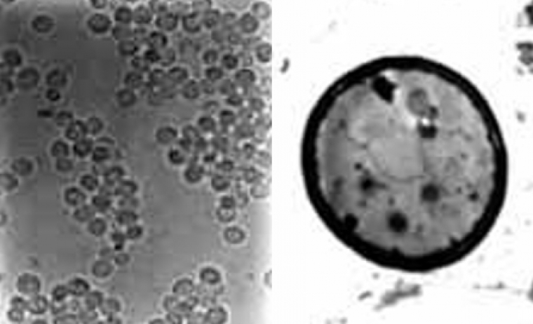
Levures observées en microscopie optique, à gauche, et coupe d'une levure observée en microscopie électronique, à droite.
Les levures sont des champignons ascomycètes. L’espèce la plus utilisée en industrie agro-alimentaire est Saccharomyces cerevisiae (étymologiquement : champignon à sucre de cervoise, la bière des Gaulois), utilisée notamment en panification, d’où son nom courant de « levure du boulanger ».
En présence d’oxygène, la levure produit son énergie par respiration (glucose et dioxygène transformés en eau et dioxyde de carbone). En absence d’oxygène, elle la produit par fermentation alcoolique (glucose transformé en alcool éthylique et dioxyde de carbone).
Durant la levée, la levure se multiplie abondamment par bourgeonnement, en consommant les sucres contenus dans la pâte à pain. L’aération, donc l’apport en dioxygène, étant insuffisant, elle produit son énergie par fermentation alcoolique, avec dégagement de CO2.
A gauche: le CO2 libéré par la fermentation alcoolique est piégé dans le réseau de gluten. Il en résulte la levée de la pâte.
A droite: le repos de la boule de pâte permet l’action des enzymes et la formation de poches de gaz.
Le gaz carbonique produit est mis à contribution : il dilate la pâte en créant de multiples alvéoles et lui donne ses propriétés moelleuses. S’il était à l’air libre, il s’échapperait, mais il est prisonnier du gluten qui rend la pâte bien élastique et le retient. C’est pour cela que la quantité de gluten, produit spécifique de la farine de blé, est déterminante pour son aptitude à la panification.
A gauche: pâte à pain, amidon et réseau de gluten.
A droite: "trous de fermentation" résultant des bulles de CO2 dans la mie.
Alcool et gaz carbonique s’évaporent lors de la cuisson.
Coopération levures – amylases
Les levures utilisent les sucres présents dans la pâte mais ceux-ci sont rapidement épuisés. D’autres sucres sont produits progressivement par des enzymes qui digèrent une petite fraction de l’amidon de la farine.
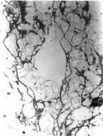
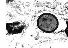
Coupe de pâte à pain crue vue au microscope électronique à transmission. Grain d’amidon endommagé (à gauche de la photo) accessible aux amylases dans le réseau de gluten, et levure (à droite).
Ces enzymes, les amylases, proviennent du blé et sont présentes dans la farine. Celle-ci doit être soigneusement conservée car ses amylases dégénèrent peu à peu au cours du temps.
Coopération des amylases de blé et des maltases de levure, fermentation alcoolique des levures et « poussée » du CO2 sur le réseau de gluten.
Il y a donc une véritable cascade de réactions qui coopèrent dans ce milieu hétérogène qu’est la pâte de blé tendre.
Le pain au levain
Même si cette pratique est minoritaire, on peut également préparer le pain en utilisant du levain en guise d’agent de fermentation.
La confection du levain commence par le prélèvement d’un peu de pâte d’un pétrissage précédent. Le « pied de culture » ou « levain chef » est rafraîchi et renouvelé (levain de première main, levain de seconde, levain tout point…). Au moment de l’ensemencement, il ne doit pas être trop jeune (pousse insuffisante), ni trop âgé, car les bactéries qu’il contient donnent une fermentation acide puis un goût aigre. Avec le temps, la vigueur du ferment faiblit et il faut prévoir la confection d’un nouveau levain.
Pain azyme
Lorsqu’on ne met pas de ferment, le pain ne lève pas : c’est le cas du pain azyme (étymologiquement : sans ferment). C’était le cas des premiers pains qui étaient en fait des galettes compactes ; c’est aussi le cas du pain de la Pâque juive et des hosties.
La cuisson
Si la farine est bonne et la pâte bien faite, chaque pâton, après la levée, a triplé de volume. Il est prêt à être cuit à 250 °C. Avant d’enfourner les pâtons, le boulanger injecte dans le four de la vapeur d’eau pour le rendre très humide : ainsi, le pain cuira sans se dessécher, sera blond et croustillant. Le gonflement se poursuit encore un peu en début de cuisson. La mie souple commence à se former pendant que le pain prend sa forme définitive. L’extérieur se solidifie, la croûte durcit et prend sa belle couleur dorée.
Lors de la cuisson, outre l’inactivation des levures, plusieurs phénomènes chimiques sont activés (voir figure ci-dessous).
La cuisson décristallise les grains d’amidon, libérant l’amylose et l’amylopectine qui deviennent accessibles aux alpha-amylases du tube digestif.
Amidon, décristallisation – recristallisation : pain frais (à gauche) et pain rassis (à droite).
Laissé à l’air, le pain subit un rassissement. Les cristaux d’amidon qui avaient été détruits lors de la cuisson, se reforment, donnant à la mie une consistance dure.
Caractéristiques nutritives
Le pain a des qualités nutritives appréciables. Ainsi 100 g de pain apportent :
- 55 g de glucides
- 7 g de protides
- 1 g de lipides
- 35 g d’eau
- 260 kilocalories
En France, sa consommation a beaucoup diminué au cours du XXe siècle, à tel point que la ration moyenne journalière actuelle (environ 160 g) est jugée trop faible par les diététiciens. Cette ration quotidienne pourrait être de 250 à 400 g selon la dépense calorique de l’individu. Pauvre en graisse, riche en glucides, c’est un aliment énergétique à apport lent qui contient en plus des fibres intéressantes pour le transit intestinal (surtout les pains complets au son).
Pour aller plus loin
- Groupement national interprofessionnel des semences et plants
Voir notamment, dans l’onglet Semences, le dossier Céréales et protéagineux - Intercéréales
Voir notamment dans la partie Publications : Fondamentaux, chiffres repères ; Rapport de l’USDA mai 2019 (blé, maïs, orge, soja), Nouvelle classification des blés tendres - L’observatoire du pain
Voir notamment : Les différentes variétés de pain (avec leur composition) - Les différents types de pain en France (traditions régionales)
- Physico-chimie de la farine de la pâte et du pain, Camille Michon, AgroParisTech
- Le réseau de gluten (YouTube, durée 20 minutes, avec comparaison du devenir du réseau de gluten selon fermentation avec levain ou avec levures), École internationale de boulangerie

















